En plena época de formaciones ciclónicas, en el océano Pacífico se están presentando un huracán que se prevé tenga impacto en las costas de EE. UU., incluso con consecuencias no tan directas.

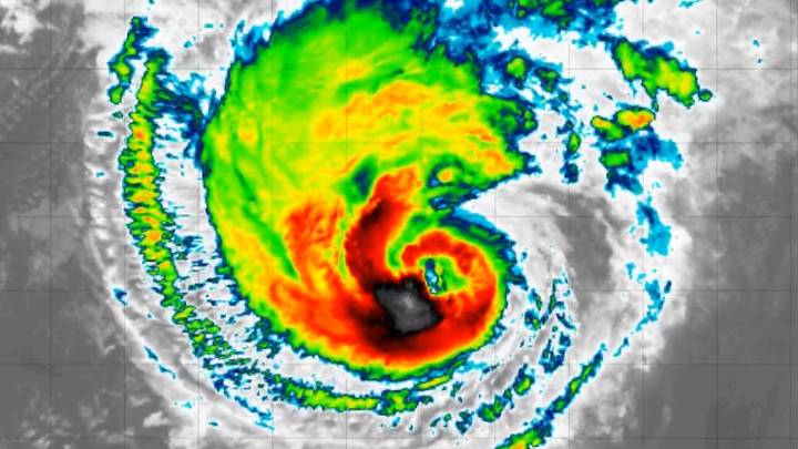
El Centro Nacional de Huracanes (NHC, siglas en inglés) pronostica que Priscilla podría convertirse en categoría 2 y se podría acercar al estado de “huracán mayor” en los próximos días .

Las lluvias de Priscilla afectarán, en principio, la costa suroeste de México el lunes. Su recorrido se encuentra a 394 kilómetros en la zona de Corrientes, ubicada en el país azteca .

“ Se espera que este movimiento general, con una curva hacia el noroeste a una velocidad ligeramente mayor, se produzca en los próximos días ”, informa el NHC.

Según la trayectoria pronosticada, se espera que el centro del sis

See Full Page