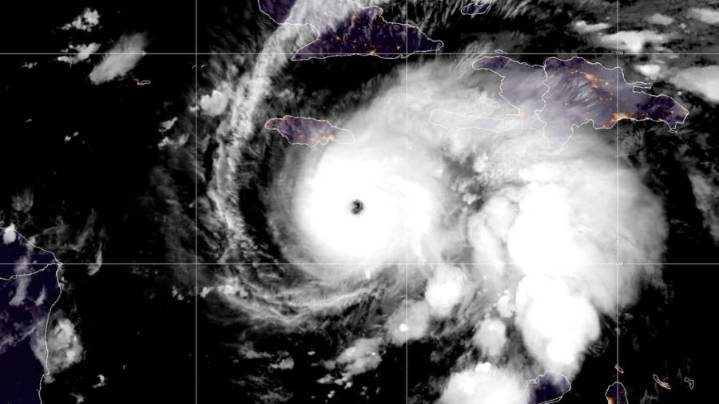
El huracán Melissa aumentó su intensidad y alcanzó este lunes la categoría 5, la más alta en la escala Saffir-Simpson que mide la velocidad de sus vientos sostenidos, informó el Centro Nacional de Huracanes (NHC) de Estados Unidos.
El fenómeno atmosférico se desplaza por el oeste del mar Caribe en dirección al sur de Jamaica, con vientos máximos sostenidos de 260 kilómetros por hora. El tiempo «empeorará» en la isla durante toda esta jornada y en la noche, con «vientos destructivos, marejadas ciclónicas e inundaciones catastróficas» , advirtió el organismo.
Se espera que Melissa toque tierra en la pequeña nación caribeña en la mañana del martes y se convierta en el huracán más fuerte en azotar directamente su territorio en décadas, señala la agencia AP. Más adelante, es probable que ll

La Prensa de Monagas

Notitarde
LA CALLE DE VENEZUELA
Noticias de Venezuela
Reporte Confidencial
Últimas Noticias Monagas
Raw Story
OK Magazine
KETV Entertainment