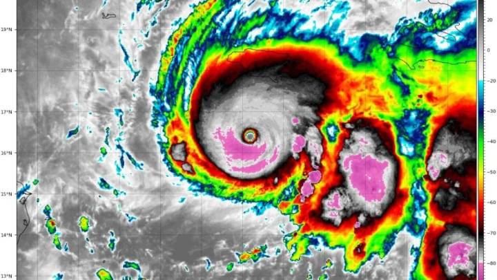
De manera oficial, el huracán Melissa evolucionó a una tormenta categoría 5, poniendo en riesgo a la población de varios países del Caribe. A través de sus medios oficiales, el Centro Nacional de Huracanes (NHC, por sus siglas en inglés) confirmó el fortalecimiento de este fenómeno natural.
También te podría interesar: Melissa podría ser huracán categoría 5, SRE alerta a mexicanos en Jamaica
"Melissa se ha convertido en un huracán de categoría 5. Vientos destructivos, marejadas ciclónicas e inundaciones catastróficas empeorarán en Jamaica durante el día y la noche", indicó el NHC en su cuenta de X.
Por su parte, la Comisión Nacional del Agua (Conagua) detalló que este fenómeno natural sigue sin representar algún riesgo para México. Actualmente, Melissa se ubica a 1,090 kilómetros al est

24 Horas

EL INDEPENDIENTE MX
El Sol de Cuautla Mundo
La Opinión México
El Sol de Tlaxcala Policiaca
Noticaribe DEPORTE
The Spectator
OK Magazine