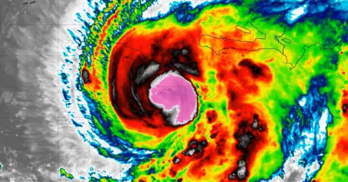
CDMX. – El huracán Melissa, que alcanzó la categoría 4 en la escala Saffir-Simpson con vientos de hasta 209 km/h, avanza por el mar Caribe sin representar un peligro directo para México, según el Servicio Meteorológico Nacional (SMN) y la Comisión Nacional del Agua (Conagua). Sin embargo, autoridades estatales en Campeche y otros del sureste del país mantienen vigilancia por efectos secundarios como chubascos intensos y oleaje elevado, que podrían generar inundaciones locales en las próximas 48 horas.
De acuerdo con el Centro Nacional de Huracanes (NHC) de Estados Unidos, el ojo de Melissa se localiza a unos 330 km al sur-sureste de Kingston, Jamaica, y más de mil 100 kilómetros al este-sureste de Cancún, Quintana Roo, desplazándose lentamente hacia el noroeste a 4 km/h.
Los pronósticos

Campeche HOY

El Heraldo de México
Noticaribe DEPORTE
PACHUCA BRILLA
Tiempo de Oaxaca
La Voz de Michoacán
Por Esto!
PACHUCA VIVE
El Mañana MX
The Daily Beast