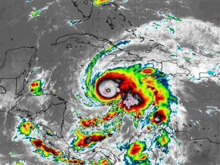
Gobierno cubano prioriza salvaguarda de personas ante Melissa La Habana, 28 oct (Prensa Latina) Ante la inminente llegada del huracán Melissa, el gobierno cubano despliega hoy un operativo preventivo en todo el oriente del país, centrado en la protección de la vida humana y la garantía de servicios esenciales. octubre 28, 2025 | 01:10
La estrategia se ejecuta de forma coordinada entre los Consejos de Defensa a todos los niveles, con apoyo logístico y técnico de organismos estatales e internacionales.
En este contexto, la provincia de Holguín prioriza la continuidad del servicio de telecomunicaciones, considerado vital para la difusión oportuna de alertas y orientaciones a la población.
Según informó a la Agencia Cubana de Noticias (ACN) el director territorial de la Empresa de Teleco

Prensa Latina

Noticias de América
RT en Español
FOX 8 News
Essentiallysports Basketball
Pajiba
People Top Story
ABC News
The Hill Video
FOX News Videos