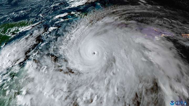
The World Meteorological Organisation (WMO) has warned that Hurricane Melissa, now a Category 5 system, could be the most powerful and destructive storm to strike Jamaica this century. The hurricane, described as the strongest on the planet so far this year, is expected to make landfall within hours, threatening catastrophic damage across the Caribbean nation.
According to the latest advisory, Melissa is moving at a steady speed of around 10 miles per hour and is currently located about 145 miles southwest of Kingston. Packing sustained winds exceeding 160 mph, the storm is expected to bring life-threatening storm surges, torrential rainfall, and widespread flooding across coastal and inland areas.
Meteorologists said the hurricane’s intensity and slow movement could worsen its impact, a

India Today

The Times of India
Ommcom News
C News English
Bitcoin Magazine
RadarOnline
The Daily Beast
9&10 News
CNN