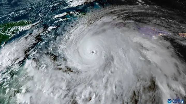
Los decesos fueron a causa de la tala de árboles como medida de precaución por la llegada de Melissa, que se aproxima a la costa occidental de Jamaica con vientos sostenidos de 280 kilómetros por hora y con lluvias torrenciales.
El Gobierno de Jamaica informó que al menos tres personas murieron y 13 resultaron heridas en los preparativos del huracán Melissa, de categoría 5 , que azota el país durante la madrugada del martes y que ya provoca "dificultades" en el sur de la isla, donde hay 50 000 personas sin servicio eléctrico.
"Es muy triste anunciar que… hemos tenido tres muertes relacionadas con los preparativos para la tormenta. Una en Hannover, otra en Saint Catherine y la otra en Saint Elizabeth", lamentó en una rueda de prensa el ministro jamaicano de Salud, Christopher Tu

Rpp Pe Deportes

La Region
Exitosa Mundo
El Comercio Mundo
The Daily Beast
AP Breaking News
Associated Press US News
Cover Media
RadarOnline