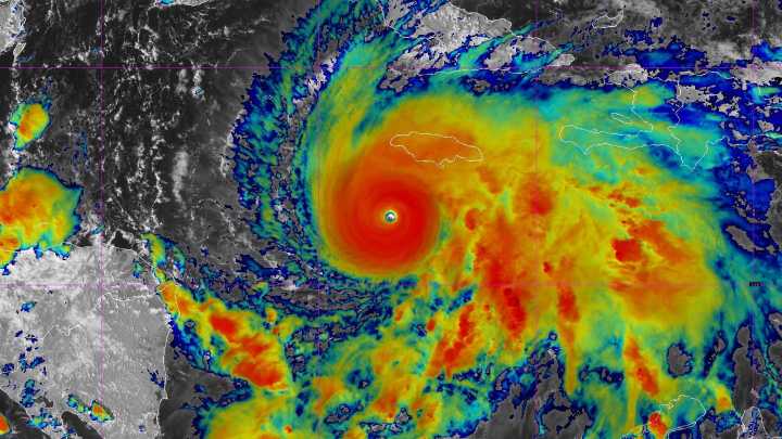
Hurricane Melissa is forecast to become a catastrophic Category 5 storm, targeting Jamaica for landfall on Tuesday.
The storm is expected to bring catastrophic winds, flash flooding, and a significant storm surge to the island.
Cuba and the Bahamas are also areas of concern as the storm moves through the Caribbean.
Florida and the rest of the United States are not currently considered to be at risk from the hurricane.
The National Oceanic and Atmospheric Administration (NOAA) is tracking Hurricane Melissa with forecasts predicting a Category 5 storm with catastrophic winds, flash flooding and a storm surge targeting landfall in Jamaica Tuesday .
Other locations of concern as the storm moves through Jamaica include Cuba and the Bahamas . Florida and the United States ar

The Herald-Times Online

KELO
ABC Action News
WYFF Greenvile
Newsweek Top
America News
New York Post Video
FOX 51 Gainesville Crime
Florida Today
CNN
The Oregonian Public Safety
CNN Politics