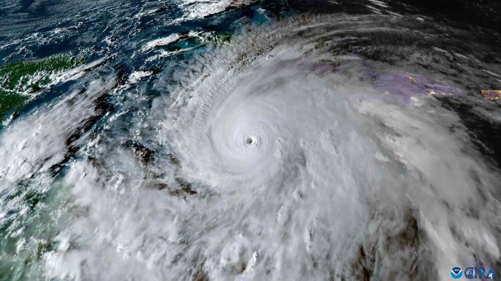
El Centro Nacional de Huracanes ( NHC ) de Estados Unidos de América ( EUA ) emitió una alerta hoy, 28 de octubre de 2025, por catástrofe en Jamaica por el potente huracán Melissa , de categoría 5 en la escala Saffir-Simpson.
Video: Potente Huracán Melissa se Acerca a Jamaica; Prevén Vientos Catastróficos
El huracán Melissa se encuentra a unos 215 kilómetros al sureste de Kingston, la capital de Jamaica , y a 500 kilómetros al suroeste de Guantánamo, con vientos máximos sostenidos muy fuertes de 280 kilómetros por hora.
En su trayectoria prevista, el centro de Melissa impactará directamente sobre Jamaica hoy, con vientos catastróficos y que amenazan la vida, inundaciones y marejada.
Hurricane #Melissa Advisory 28A: Eye of Extremely Dangerous Category 5 Melissa Approac

Televisa Noticias Clima

Proyecto Puente Hermosillo
DOSSIER POLÍTICO
Diario de México Elecciones
El Diario de Chihuahua
El Sol de Tlaxcala Policiaca
Noticaribe DEPORTE
Infobae México
Reuters US Domestic
Nicki Swift
CNN
The Babylon Bee
FOX19 NOW