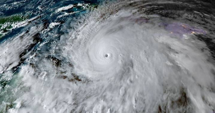
Se espera que la tormenta toque tierra este martes en Jamaica, ingresando cerca de la parroquia de St. Elizabeth en el sur y saliendo por la parroquia de St. Ann en el norte, según los pronosticadores. Poco después, se prevé que el huracán impacte en Cuba.
Horas antes de la llegada de la tormenta, el gobierno de Jamaica informó haber realizado todos los preparativos posibles, aunque advirtió sobre daños catastróficos.
«No hay infraestructura en la región que pueda soportar una categoría cinco», afirmó el primer ministro, Andrew Holness, quien agregó que «la pregunta ahora es la velocidad de recuperación. Ese es el desafío».
Ya se reportaron d eslizamientos de tierra, árboles caídos y numerosos cortes de energía antes del impacto principal de la tormenta . Funcionarios en Jamaica advir

Río Negro News Mundo

La Mañana Argentina
Perfil Internacional
Ámbito Financiero Mundo
The Daily Beast
KETV Politics
The radio station 99.5 The Apple
Action News 5 Crime
People Shopping
Salon
NBC News
CNN
RadarOnline