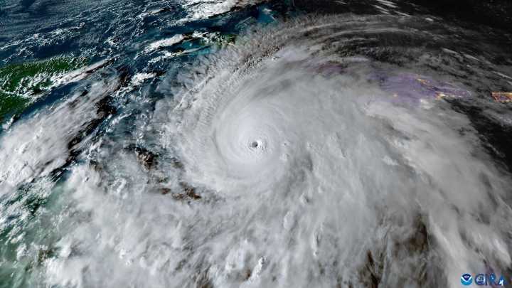
Se espera que el huracán Melissa traiga una catástrofe al tocar tierra en Jamaica con marejadas ciclónicas, inundaciones repentinas y deslizamientos de tierra en la peor tormenta que ha azotado la isla caribeña en este siglo, dijo el martes un funcionario meteorológico de la ONU.
La tormenta de categoría 5, la más fuerte posible en la escala Saffir-Simpson, traerá ráfagas de viento de más de 300 kilómetros por hora y una devastación generalizada en la isla, donde las autoridades han ordenado evacuaciones obligatorias.
“Se espera una situación catastrófica en Jamaica”, dijo la especialista en ciclones tropicales de la Organización Meteorológica Mundial, Anne-Claire Fontan, en una conferencia de prensa en Ginebra. “Para Jamaica, seguramente será la tormenta del siglo”.
Se esperaban mareja

Forbes México

Diario de México Elecciones
Expansion
Criterio
Oh No They Didn't
The Babylon Bee