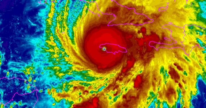
Hurricane Melissa, the strongest storm to ever hit Jamaica, made landfall on Tuesday afternoon.
BREAKING NEWS: Hurricane Melissa makes historic landfall in Jamaica. Follow for live updates
CTV News 9 hrs ago
128
CTV News 9 hrs ago
Hurricane Melissa, the strongest storm to ever hit Jamaica, made landfall on Tuesday afternoon.