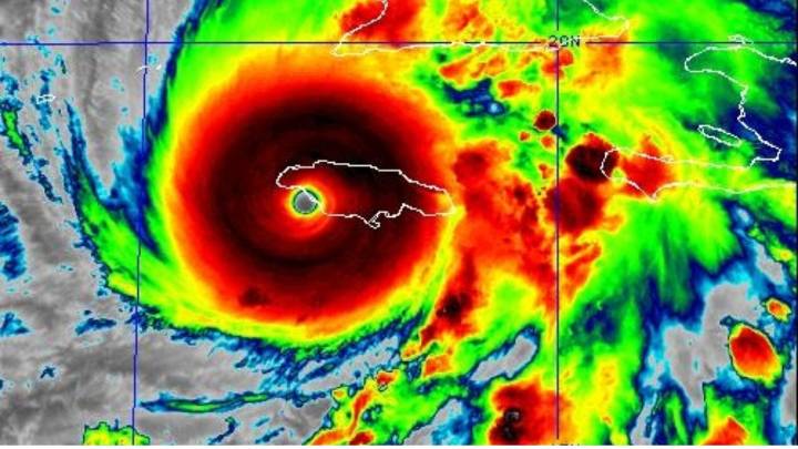
El Centro Nacional de Huracanes (NHC por sus siglas en inglés) informó, al mediodía hora del este del este martes que, Melissa tocó tierra en el suroeste de Jamaica como un potente huracán de categoría 5.
Este, que es catalogado por el NHC como uno de los huracanes más potentes que se han registrado en la cuenca atlántica, llegó cerca de New Hope con vientos máximos sostenidos estimados de 295 km/h y una presión central mínima estimada de 892 milibares, que representan 26,34 pulgadas.
"¡Esta es una situación extremadamente peligrosa y que pone en peligro la vida! No salga de su refugio mientras pasa el ojo, ya que los vientos aumentarán rápida y drásticamente al otro lado del ojo", advirtió el NHC en una comunicación divulgada en su cuenta de X.
De acuerdo con la entidad, los reside

NTN24 Venezuela

Reporte Confidencial
Notitarde
Noticias de Venezuela
Últimas Noticias Mundo
The Daily Beast
CNN
The Fashion Spot
CNN Politics
KCRG Iowa
The Rink Live