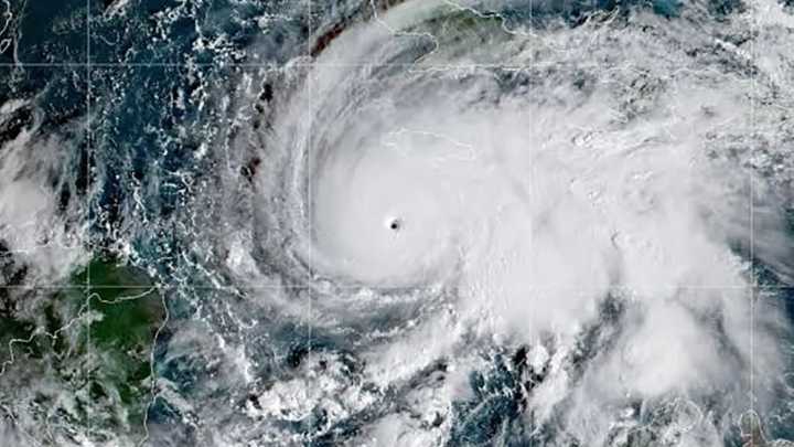
KINGSTON – El huracán Melissa tocó tierra este martes cerca de New Hope, Jamaica, como un huracán de categoría 5 con vientos de 185 millas por hora (295 km/h), según informó el Centro Nacional de Huracanes.
Este fenómeno, catalogado como “extremadamente peligroso y potencialmente mortal” , se desplaza hacia el noreste a unas 9 millas por hora (15 km/h), con el ojo de la tormenta aproximándose a la zona de Negril, en el extremo occidental de la isla.
Según Univision Noticias, la fuerza de sus vientos en este momento lo convierten en el ciclón más fuerte de la que se tiene registro en golpear el país.
Melissa también es uno de los huracanes más poderosos registrados en tocar tierra en la cuenca del Atlántico, empatada solo con otras dos tormentas: Dorian de 2019 y el huracán de

El Latino de Hoy

Noticias de América
CNN en Español
CNN
Essentiallysports Motorsports
CNN Politics
Salon
RadarOnline
Star Beacon
The List