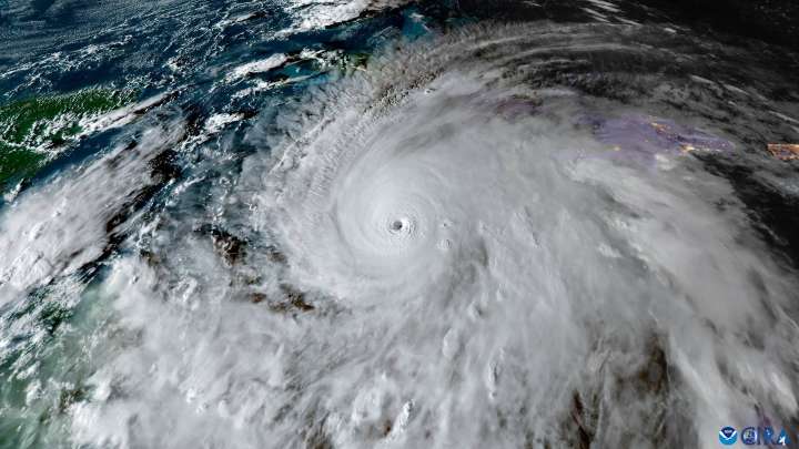
El huracán Melissa tocó tierra en Jamaica hoy, 28 de octubre de 2025, como un ciclón de categoría 5 , con vientos catastróficos y lluvias torrenciales, que lo convierten en el evento meteorológico más intenso registrado en la isla, en las últimas décadas.
El Centro Nacional de Huracanes de Estados Unidos (NHC, por sus siglas en inglés) detalló que el huracán Melissa tocó tierra cerca de Nueva Esperanza, al suroeste de Jamaica , y alertó que la llegada del ciclón es una “situación extremadamente peligrosa y potencialmente mortal ”.
#Melissa makes landfall in southwestern Jamaica near New Hope as a powerful category 5 hurricane. For the latest updates visit https://t.co/tW4KeGdBFb pic.twitter.com/4zkLYat3g4 — National Hurricane Center (@NHC_Atlantic) October 28, 2025

Televisa Noticias Clima

Diario de México Elecciones
Criterio
El Financiero Mercados
Animal Político Politica
The Daily Beast
@MSNBC Video
New York Post