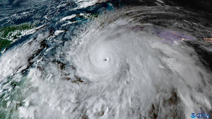
El ciclón, de categoría 5 en la escala Saffir-Simpson, es ya el más potente registrado en el Atlántico este año. Naciones Unidas espera “una situación catastrófica en la isla”
El huracán Melissa , un ciclón de categoría 5 en la escala Saffir-Simpson, con vientos sostenidos de más de 295 kilómetros por hora, tocó tierra este martes en Jamaica minutos después del mediodía, hora local, según informó el Centro Nacional de Huracanes de Estados Unidos (NHC, por sus siglas en inglés). La Organización Meteorológica Mundial (OMM), que depende de la ONU, anticipó “una situación catastrófica” . “Para Jamaica, será sin duda la tormenta del siglo”, afirmó la especialista en ciclones tropicales del organismo, Anne-Claire Fontan. Tras golpear la isla, Melissa se dirigía hacia el sureste

El País Chile

AlterNet
Reuters US Domestic
5 On Your Side Sports
The Daily Beast
Bloomberg TV
Fast Company Lifestyle
CNN