Redacción
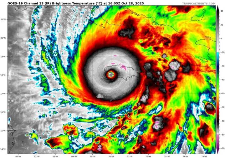
“Melissa” azotó este martes a Jamaica como un huracán categoría 5, con vientos cercanos a los 300 kilómetros por hora, convirtiéndose en uno de los impactos más potentes registrados en la cuenca atlántica, informó el Centro Nacional de Huracanes (NHC, por sus siglas en inglés) de Estados Unidos.
El fenómeno tocó tierra a las 11:00 horas en el suroeste de la isla, cerca de Nueva Esperanza, con vientos sostenidos de 295 km/h y una presión central mínima de 26.34 pulgadas. El NHC advirtió que se trata de “una situación extremadamente peligrosa y que amenaza la vida”, e instó a la población a permanecer en sus refugios.
“Los vientos aumentarán rápida y drásticamente. Interpongan tantas paredes como sea posible entre ustedes y el exterior. Una habitación interior sin ventanas es el

EL CLARINETE

Animal Político Politica
Raw Story
RadarOnline
Bitcoinist
The Babylon Bee
Vogue
The Daily Mining Gazette
FOX News Politics
The Daily Beast