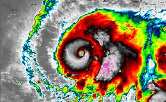
Los efectos del huracán Melissa, de categoría 5, golpean ya Jamaica con vientos catastróficos y lluvias torrenciales y se prevé que tocará tierra en esta isla las «próximas horas» manteniendo su intensidad extrema, informó este martes el Centro Nacional de Huracanes (NHC) de Estados Unidos.
Melissa se aproxima a la costa occidental de Jamaica con vientos sostenidos de 280 kilómetros por hora (175 millas por hora), lluvias torrenciales y marejadas que amenazan con provocar inundaciones y daños catastróficos, detalló.
El organismo meteorológico advirtió de que Melissa tocará tierra en las próximas horas, manteniendo su intensidad extrema antes de cruzar el sureste de Cuba el miércoles y llegar a las Bahamas el jueves.
El NHC mantiene alertas de huracán para toda Jamaica, las provincias or

El Tequeño

NUEVO DÍA DE VENEZUELA
Diario Republica Mundo
La Prensa de Monagas
Noticias de Venezuela
Últimas Noticias Mundo
WFMJ-TV
Raw Story
Newsweek Top
The Fashion Spot
The Daily Beast