Scroll down for the latest news and updates.
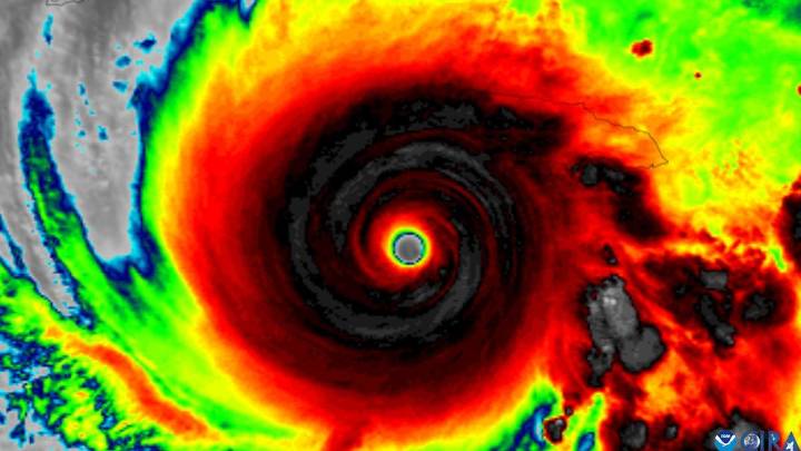
Ahead of Hurricane Melissa’s “The destruction could be unlike anything people in Jamaica have seen before,” US forecaster AccuWeather’s hurricane expert Alex DaSilva said.
“The island has never taken a direct hit from a category four or a category five hurricane in recorded history.”
Melissa is the third most intense hurricane observed in the Caribbean after Wilma in 2005 and Gilbert in 1988, according to AccuWeather.
Gilbert was the last major storm to directly hit the island.
Read more.
Hurricane Melissa has made landfall in western Jamaica as a powerful category five storm and the strongest ever to directly hit the Caribbean country of 2.8 million people.
Melissa made landfall near the town of New Hope, 62km south of Montego Bay, packi

The West Australian

NBC News
The Daily Beast
AlterNet
The Daily Mining Gazette Sports
Reuters US Domestic
Salon
RadarOnline
IMDb Cele
Bozeman Daily Chronicle Sports