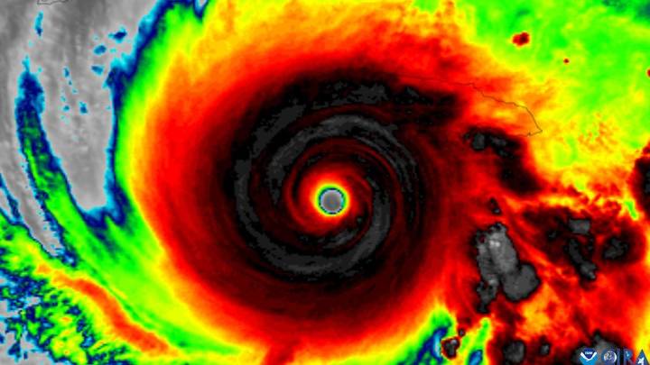
Hurricane Melissa has made landfall in western Jamaica as a powerful category five storm and the strongest ever to directly hit the Caribbean country of 2.8 million people.
Melissa made landfall near the town of New Hope, 62km south of Montego Bay, packing maximum sustained winds of 295 km/h, the US National Hurricane Center said in its latest advisory.
The slow-moving storm is forecast to remain a powerful hurricane as it crosses the mountainous island - whose highland communities are vulnerable to landslides and flooding - and heads towards Santiago de Cuba, Cuba’s second-largest city. Loading Tweet
The Miami-based hurricane centre warned that “total structural failure” was likely in Melissa’s path.
“The destruction could be unlike anything people in Jamaica have seen before,” US fo

PerthNow

Sky News Australia
The Sydney Morning Herald
ABC News Canberra
The Fashion Spot
AlterNet
Salon
Nola Sports
Axios
Akron Beacon Journal Sports
RadarOnline