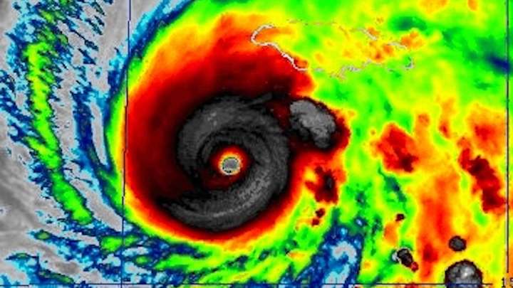
Fueled by abnormally warm Caribbean waters, Hurricane Melissa exploded into a Category 5 cyclone while moving at little more than a strolling pace – a dangerous mix that could amplify its impacts through relentless rain, storm surge, and wind.
Scientists say both rapid intensification and stalling storms are on the rise in a warming climate. Here's what to know.
Supercharged by climate change
Melissa jumped from a tropical storm with 70 mph (110 kph) winds on Saturday morning to a 140 mph Category 4 within 24 hours. It's since strengthened further into a Category 5, the highest level on the Saffir-Simpson , where even well-built structures face catastrophic damage.
It was the fourth of five Atlantic hurricanes this season to intensify in such dramatic fashion.
"We haven't had that

ScienceAlert en Español
AP Breaking News
Associated Press US and World News Video
FOX 5 Atlanta Crime
Associated Press Top News
NBC4 Washington
AccuWeather Severe Weather
@MSNBC Video
The Babylon Bee