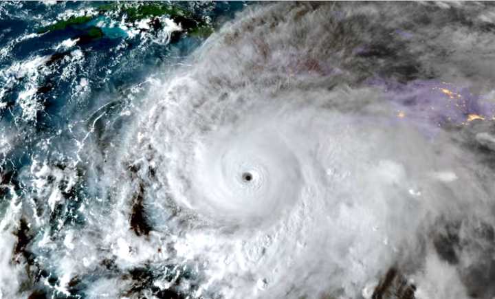
El huracán Melissa tocó tierra en Jamaica con una fuerza devastadora, convertido en una poderosa tormenta de categoría 5. Los vientos, que superan los 280 kilómetros por hora, y las intensas lluvias han provocado cortes de energía, inundaciones y graves daños en varias zonas costeras.
Las autoridades declararon estado de emergencia y ordenaron evacuaciones masivas ante el riesgo de deslizamientos de tierra y marejadas ciclónicas que podrían alcanzar varios metros de altura. Miles de personas se refugiaron en albergues habilitados por el gobierno, mientras los servicios de rescate trabajan sin descanso para atender emergencias y mantener la comunicación con las regiones más afectadas.
Se prevé que Melissa continúe desplazándose hacia el norte del Caribe, amenazando con fuertes lluvias e i

HSB Noticias

Noticias RCN
Diario del Sur
OK Magazine
AlterNet
Raw Story
CBS News
Reuters US Domestic
NBC10 Boston Entertainment
The Daily Beast