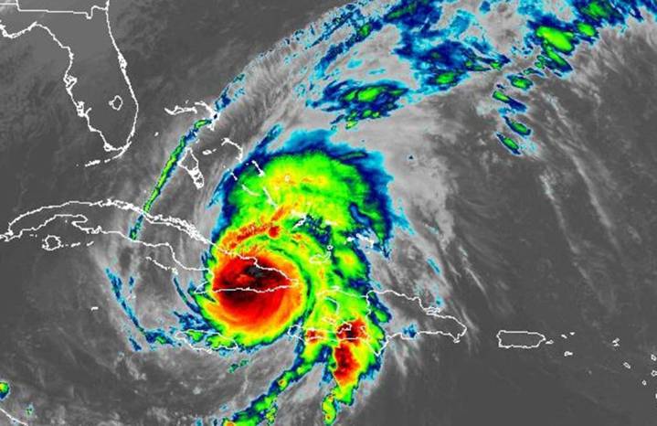
Hurricane Melissa struck Cuba early Wednesday still as a major Category 3 hurricane a day after slamming into Jamaica as one of the most powerful hurricanes on record, according to the National Hurricane Center.
The storm had 120 mph winds when it made landfall in the Cuban province of Santiago de Cuba near the city of Chivirico at 3:10 a.m.
As of the NHC’s 5 a.m. advisory, Melissa had dropped to 115 mph, just over the Category 3 threshold, located about 60 miles west of Guantanamo, Cuba and 230 miles south of the central Bahamas moving northeast at 12 mph.
Hurricane Melissa forecast path as of 5 a.m. Wednesday, Oct. 29, 2025. (NHC)
“Melissa is expected to remain a powerful hurricane when it moves across the Bahamas later today and passes
near Bermuda on Thursday night,” said NHC se

Orlando Sentinel

NBC Montana
WDHN News
NBC 6 South Florida
America News
Associated Press Top News
AP Breaking News
Associated Press US and World News Video
Fast Company
MSNBC
Fortune
OK Magazine
Raw Story