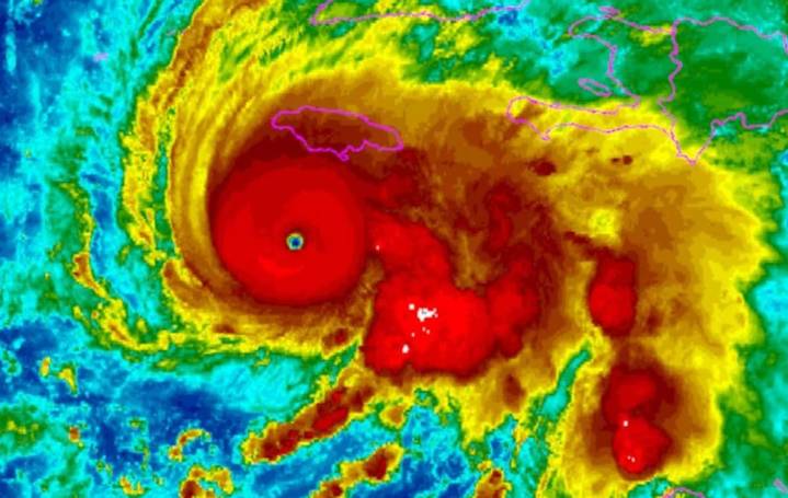
El ciclón pasó por los países caribeños provocando lluvias torrenciales y ráfagas devastadoras durante su trayecto; debido a su potencia, los daños materiales causados son incalculables; más de 1,5 millones de personas afectadas
Qué se sabe del huracán Melissa, tras pasar por Jamaica y llegar a Cuba, este miércoles 29
La Nación18 hrs ago
110


Diario El Día de La Plata
La Nación El Mundo
Diario La Prensa
The List
Raw Story
MLB
The Daily Beast
Detroit Free Press
The Spectator
The Fashion Spot