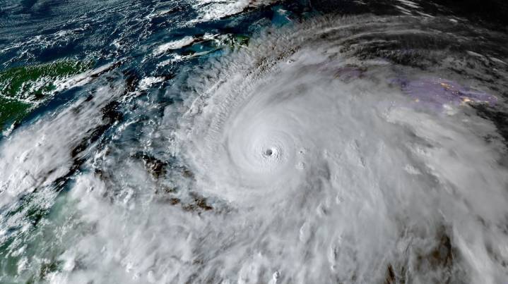
El huracán Melissa avanza por el Caribe y mantiene en alerta a toda la región. Luego de golpear con impactos devastadores a Jamaica, el fenómeno atravesó Cuba con vientos máximos de 215 kilómetros por hora y se dirige rumbo a las Bahamas y Bermudas.
Mientras las autoridades intensifican los operativos de emergencia, Google Maps se convirtió en una herramienta clave para seguir en tiempo real la trayectoria del huracán y conocer su posible recorrido en los próximos días.
Cómo seguir el huracán Melissa en Google Maps
La app de mapas de Google permite rastrear tormentas y huracanes. Para hacerlo, no es necesario descargar aplicaciones adicionales ni acceder a plataformas externas.
Basta con seguir estos pasos:
Abrir Google Maps (desde el navegador o la app móvil).
E

Todo Noticias

Raw Story
Daily Kos
FOX News Politics
TMZ
The Daily Beast
CBS19 News Crime
NFL Los Angeles Chargers
NFL Pittsburgh Steelers