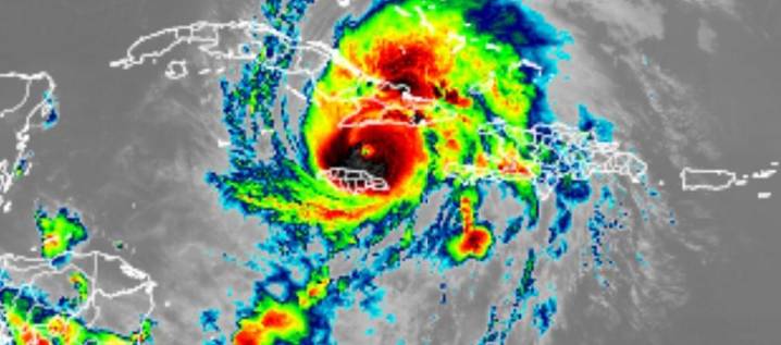
La Mesa Técnica de Alerta por Ciclones Tropicales, conformado por la Dimar, Ideam, UNGRD, entre otras entidades, culminó este jueves con el monitoreo del huracán Melissa tras no representar incidencia directa e indirecta en el territorio colombiano.
“El huracán Melissa, actualmente de categoría 2, se encuentra cerca a la costa nororiental de las Bahamas sobre el Atlántico norte y continúa moviéndose hacia el norte-nororiente sin influencia sobre las condiciones océano-atmosféricas del territorio colombiano”, informó la Mesa Técnica.
Lea también: Operativos especiales de seguridad por Halloween y eventos de este fin de semana en Barranquilla
Así mismo precisó que “de acuerdo con lo anterior se finaliza el monitoreo del sistema y se establece el estado ‘Informativo’ sin alertas para

Zonacero

America News
Mediaite
The Danville Register & Bee Entertainment
The Columbian Politics
WILX News 10
The Monroe News
Gossip Cop
Insider