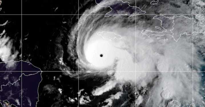
Hurricane Melissa gained strength to become a Category 5 storm Monday morning, a day away from when it forecasters say it will reach Jamaica as a devastating storm.
After rapidly intensifying over the weekend, the slow-moving storm is responsible for at least four deaths in Haiti and the Dominican Republic, but is not expected to threaten Louisiana or the Gulf Coast, according to the National Hurricane Center in Miami.
As of 6 a.m., Melissa was about 130 miles south-southwest of Kingston, Jamaica and was moving west at a crawl at 3 mph. After forming on Saturday afternoon with sustained winds at 75 mph and becoming Category 4 by Sunday, Melissa's wind speeds had reached 160 mph by Monday morning.
Rapid intensification is defined by the NHC as a 35 mph increase in sustained winds wit

NOLA

11Alive
KPIX 5
GV Wire
Local News in Arizona
Florida Today
The Oregonian Public Safety
Daily Voice
FOX 13 Tampa Bay Crime
Associated Press Top News
The Hollywood Gossip
The Babylon Bee
NFL News
Raw Story