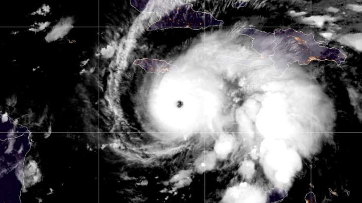
El huracán Melissa aumentó su intensidad y alcanzó este lunes la categoría 5, la más alta en la escala Saffir-Simpson que mide la velocidad de sus vientos sostenidos, informó el Centro Nacional de Huracanes (NHC) de Estados Unidos.
El fenómeno atmosférico se desplaza por el oeste del mar Caribe en dirección al sur de Jamaica, con vientos máximos sostenidos de 260 kilómetros por hora. El tiempo "empeorará" en la isla durante toda esta jornada y en la noche, con "vientos destructivos, marejadas ciclónicas e inundaciones catastróficas", advirtió el organismo.
Lea también: Huracán Melissa amenaza con ascender a la categoría cinco
Se espera que Melissa toque tierra en la pequeña nación caribeña en la mañana del martes y se convierta en el huracán más fuerte en azotar directamente su terri

Globovision Internacionales

Últimas Noticias Mundo
NOTICIAS AL DÍA Y A LA HORA
Diario de Los Andes
Noticias de Venezuela
Reporte Confidencial
Essentiallysports Basketball
Raw Story
Women's Wear Daily
The Hill
New York Post
IFL Science