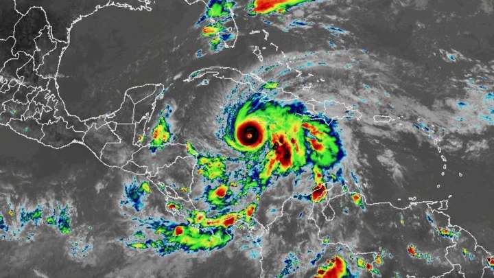
El huracán Melissa ha alcanzado la categoría 5 en su camino por el Caribe . Andrew Holness, primer ministro de Jamaica , ha advertido sobre una potencial devastación por este ciclón en la isla.
Noticia relacionada: Impactante Video del “Ojo del Monstruo”: Así Luce el Centro del Huracán Melissa desde el Espacio
Primer ministro de Jamaica advierte por huracán Melissa
A través de una entrevista televisiva con CNN, el primer ministro de Jamaica anunció que su país se encuentra en una situación crítica. Actualmente, el huracán Melissa se ubica al sur de la isla caribeña, donde se ha fortalecido en los últimos días hasta alcanzar la categoría 5.
Según explicó Andrew Holness, Melissa podría girar e impactar el norte de la isla:
Probablemente girará hacia el norte, lo que

Televisa Noticias Clima

El Diario de Chihuahua
El Universal Mexico Mundo
El Sol de Tlaxcala Policiaca
Noticaribe DEPORTE
RealClear Politics
Los Angeles Times Opinion