AP/Reuters
The Trump administration is postponing the release of new national dietary guidelines. The updated nutrition advice, now expected in December, could bring major changes to what the government considers a healthy diet .
Here’s what else you need to know to get up to speed and on with your day.
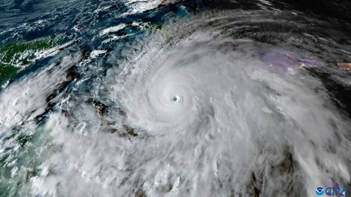
1️⃣ Hurricane Melissa
Melissa has now intensified into a Category 5 hurricane with 175 mph winds, making it the strongest storm on the planet this year . Mandatory evacuation orders have been issued across vulnerable coastal areas of Jamaica as the unprecedented storm barrels toward landfall in the coming hours. Up to 40 inches of rain, 13 feet of storm surge and 160 mph sustained winds will cause “extensive infrastructure damage” that will cut off communities, the National Hurrican

CNN Climate

America News
Local News in Illinois
Associated Press US News
Daily Kos
Raw Story
The Newport Daily News
Asheville Citizen Times