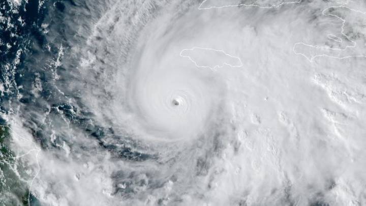
Hurricane Melissa pictured in the Caribbean Sea on Tuesday, October 28. NOAA/NESDIS/STAR
Hurricane Melissa hit Jamaica with the strength of a Category 5 storm bringing 180 mph winds, torrential rain and flooding. The storm is now heading towards Cuba with a Category 4 strength.
It is one of the strongest storms to ever hit the country and could “ reshape Jamaica for years to come .”
Several nonprofits have positioned teams and supplies ahead of the storm so that they may begin providing aid and assistance as soon as possible.
For ways to help those in Melissa’s path, check out the form below or click here
Impact Your World will continue to monitor and update ways to help as more information comes in.

CNN Climate

WJLA
WETM
CBS News
America News
WCNC Charlotte Weather
WMTV NBC15
FOX Weather
The Hill Politics
The Daily Beast
Salon