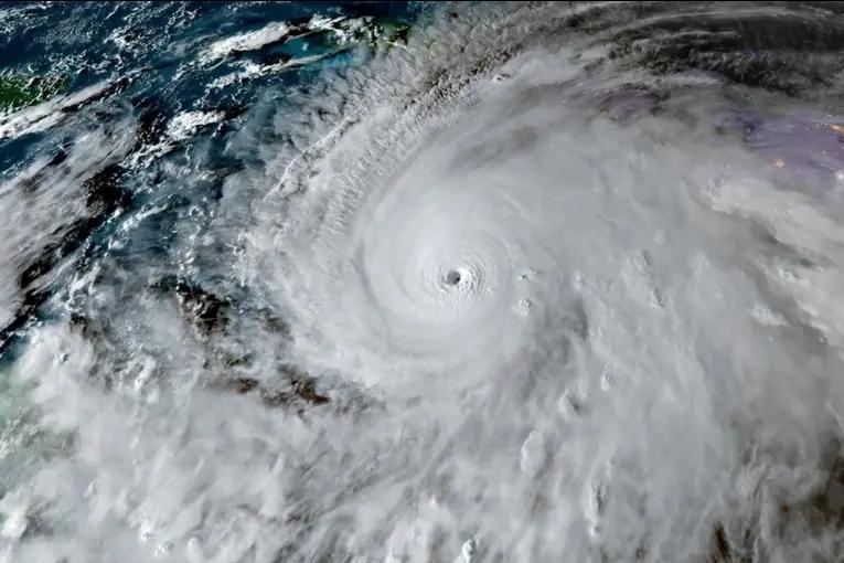
El poderoso huracán Melissa, de categoría 5, ya provocó víctimas en Haití, República Dominicana y Jamaica, donde está impactando. Con vientos de 280 km/h, se perfila como uno de los ciclones más intensos de la historia reciente del Caribe.
El poderoso huracán Melissa, de categoría 5, ya provocó víctimas en Haití, República Dominicana y Jamaica, donde está impactando. Con vientos de 280 km/h, se perfila como uno de los ciclones más intensos de la historia reciente del Caribe.
El devastador impacto del huracán Melissa ya se siente en Jamaica este martes. El Ministerio de Salud y Bienestar de la isla informó el lunes por la noche que se habían registrado tres muertes relacionadas con la tormenta "en preparación" para el huracán. Además, ya dejó cuatro víctimas mortales en Haití y Repúblic

ELONCE

Clarín Mundo
Diario Panorama
Diario de Cuyo
La Nación Sociedad
Noticias de Argentina
El País Internacional
Raw Story
Bitcoin Magazine
Reuters US Domestic
Page Six
Just Jared
New York Daily News Snyde
5 On Your Side Sports