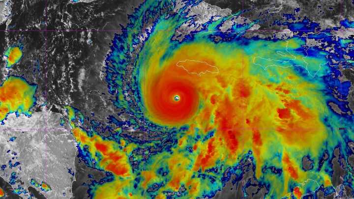
Potentially catastrophic Hurricane Melissa is forecast to slam the southern coast of Jamaica on Tuesday morning with sustained winds of up to 175 mph, even higher gusts and a life-threatening storm surge, leaving a wake of destruction across the island before focusing its ferocity on southeastern Cuba.
Torrential downpours that could produce 15 to 30 inches of rain, with as much as 40 inches of rain possible in isolated locations, are also expected to contribute to deadly landslides in the island's mountainous terrain, the U.S. National Hurricane Center said.
With its fierce intensification, Melissa became the strongest tropical cyclone of 2025 globally, "beating out the Western Pacific’s Typhoon Ragasa," meteorologist Jeff Masters wrote for Yale Climate Connections on Oct. 27. At le

Times Herald-Record

ABC 7 NY
ABC News Weather
TIME
New York Post
People Crime
Daily Voice
Gothamist
amNewYork
WFVX WVII News
Newsday
FOX 29 New Jersey