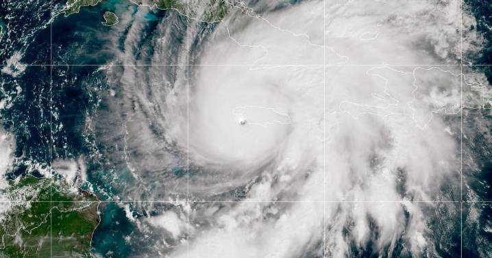
Hurricane Melissa made landfall Tuesday in Jamaica as a fearsome Category 5 storm . The most powerful hurricane to lash the island since record-keeping began 174 years ago and one of the strongest Atlantic storms ever recorded, Melissa struck Jamaica with sustained winds of 185 mph, the Miami-based National Hurricane Center said.
Melissa weakened somewhat after landfall, with the hurricane center saying at 4 p.m. ET that its winds had decreased to 150 mph, now a Category 4 speed.
The storm initially came ashore near New Hope, on the southwestern coast of Jamaica, and was moving toward the north-northeast at about 8 mph, the center said.
Landslides, fallen trees and numerous power outages were already being reported earlier Tuesday as the hurricane made its approach, with officials

KDKA

Boston 25 News
NBC News Video
WRAL News
Daily Voice
6abc Action News Politics
People Crime
NBC10 Philadelphia
Salon