‘This is not the time to be brave’ – Jamaicans told to stay inside as worst hurricane in island’s history strikes
Massive clean-up operation to begin today after landslides, fallen trees and power outages
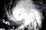
Heavy floodwaters swept across south-western Jamaica, winds tore roofs off buildings and boulders tumbled into roads yesterday as Hurricane Melissa came ashore as a catastrophic Category 5 storm, one of the strongest Atlantic hurricanes on record.
Desmond McKenzie, deputy chairman of Jamaica’s Disaster Risk Management Council, urged people to seek shelter and stay indoors as the storm crosses the island.
“Jamaica, now is not the time to be brave,” he said.
The streets in the capital, Kingston, remained largely empty as Melissa approached, save for the lone stray dog crossing puddles

Independent.ie

Channel 4 News
BBC News Video
US Magazine
AlterNet
Raw Story