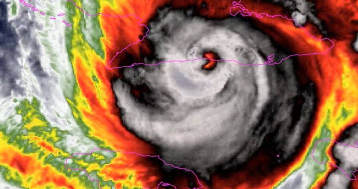
Ciudad de México , (SinEmbargo). El huracán “Melissa” ha bajado a Categoría 1 en la escala Saffir-Simpson este miércoles por la tarde, luego de su paso por Jamaica en Categoría 5 –la más alta–, así como por Haití y Cuba , donde ha dejado muertes y destrozos , respectivamente. Ahora, se acelera rumbo a las Bahamas y otras islas caribeñas.
Podría interesarte: “Melissa”, la “tormenta del siglo” según la ONU, impacta a Jamaica como categoría 5
En el corte de este miércoles por la tarde (17:00 horas tiempo del este; 15:00 horas del centro de México), el Centro Nacional de Huracanes (NHC, por sus siglas en inglés) de Estados Unidos, informó que “Melissa” se ha comenzado a acelerar hacia el noreste sobre las Bahamas, con vientos dañinos, lluvias y una “peligrosa mare

Zona Franca Política y Sociedad

La Opinión México
El Heraldo de Saltillo
REGIO
Noticaribe
EL DIARIO NTR
AlterNet
MLB
The List
The Conversation
Reuters US Business