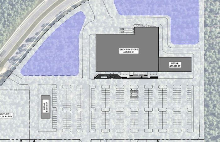
St. Johns County officials are reviewing plans for a 61,000-square-foot grocery store that matches the Harris Teeter footprint, according to News4JAX partners at the Jacksonville Daily Record.
According to the JDR, the property is located at Veterans Parkway and County Road 210 West, about 3.8 miles southeast of the interchange of Interstate 95 and U.S. 98.
Plans show an 11,000-square-foot retail space adjacent to the grocery and a 5,000-square-foot retail space in the parking lot. There are four outparcels and a 1.12-acre fueling station. The total square footage of the shopping center is 77,000 square feet.
RELATED | A new Harris Teeter is coming to a Jacksonville neighborhood. Where the supermarket is planting its roots
Representatives from Publix and Winn-Dixie told the JDR they ar

News4JAX

WCBI-TV
ABC6 Rhode Island
Ocala Star-Banner
Grand Forks Herald
The Seattle Times
The Bay City Times
Associated Press Top News
People Human Interest
KQED Arts & Culture
Akron Beacon Journal