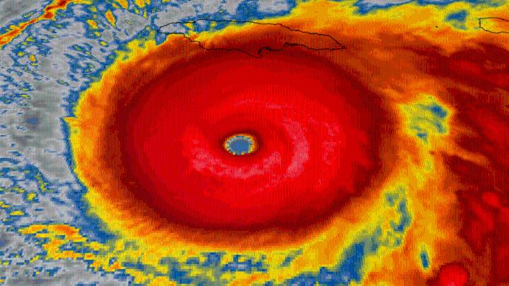
A powerful Hurricane Melissa lurks south of Jamaica this evening. The storm looks nearly perfect with a very well-defined and narrowing eye at the center of the storm. Winds have been set at 145 mph as hurricane hunters continue to fly through and provide the latest intensity estimates.
The storm is expected to intensify a bit more and could become the third Category 5 hurricane of this hurricane season. That would be the most Category 5 hurricanes in a single Atlantic hurricane season since 2005, which had a record-setting 4.
Hurricane Melissa is expected to make landfall in Jamaica as the most powerful hurricane to hit the island on record. The strongest hurricane to hit Jamaica that we know of was Hurricane Gilbert in 1988. Gilbert came ashore with low-end Category 4 winds of 130 mph.

KOLR10 News

Times West Virginian
Honolulu Star-Advertiser Traffic
Hawaii Tribune-Herald
America News
NBC26
FOX Weather
The Washington Post Opinions
The Rink Live
The Babylon Bee
Iron Mountain Daily Life
AlterNet
Fox 11 Los Angeles Sports