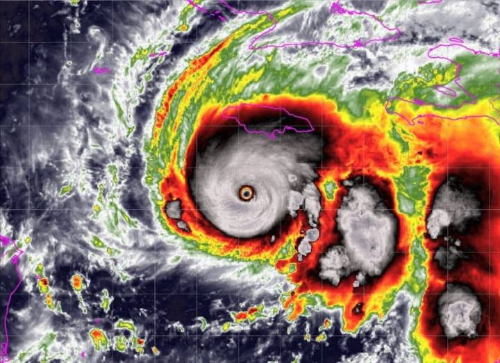
Con vientos superiores a los 250 km/h y una intensificación explosiva alimentada por aguas excepcionalmente cálidas, la tormenta de categoría 5 se dirige primero a Jamaica antes de avanzar hacia Cuba y Bahamas
Por qué Melissa podría convertirse en uno de los huracanes más potentes en décadas y cómo avanzará por el Caribe
La Nación2 hrs ago
149


Noticias de Argentina
Rolling Stone
CBS Colorado Business
Breitbart News
The Babylon Bee
Raw Story
MovieWeb
Essentiallysports Motorsports
Fast Company Lifestyle