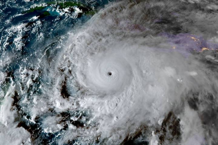
El ciclón, que alcanzó la categoría 5 con vientos de hasta 270 km/h, ya provocó al menos cuatro muertes en el Caribe y se dirige hacia Cuba y las Bahamas
Jamaica se prepara para el impacto inminente de Melissa, el huracán más poderoso de su historia
La Nación2 hrs ago
58


CBA24N
La Nación El Mundo
Clarín Mundo
Noticias de Argentina
CNN
KBTX News 3 Sports
Raw Story