El huracán Melissa, de categoría 5, avanza hacia Jamaica con vientos de 280 km/h. Ya causó tres muertes en la isla y amenaza a más de 1,5 millones de personas, según la Cruz Roja.
Jamaica bajo estado de emergencia por la tormenta categoría 5
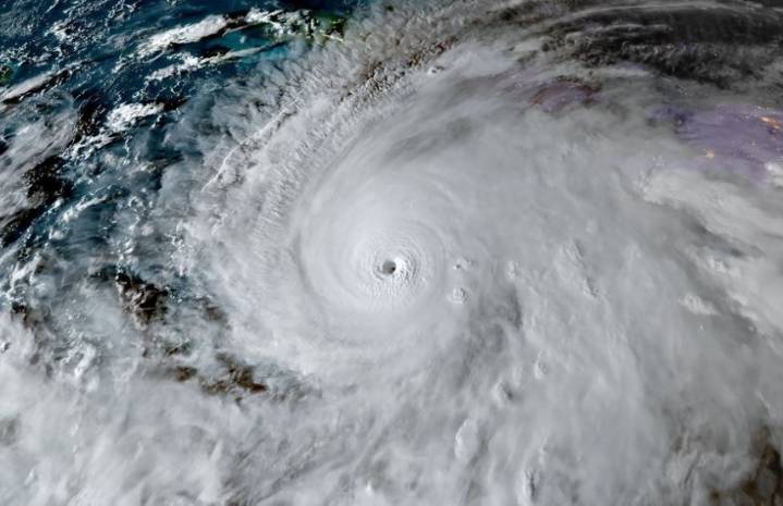
El poderoso huracán Melissa continúa su paso destructivo por el Caribe. Según el último informe meteorológico, el fenómeno se encuentra a 215 kilómetros de Kingston , la capital jamaicana, con vientos sostenidos de 280 km/h , lo que lo ubica dentro de la categoría 5, la más alta en la escala Saffir-Simpson.
Las autoridades locales confirmaron tres muertes en Jamaica y advirtieron que el número de víctimas podría aumentar a medida que avancen las tareas de rescate. La Cruz Roja Internacional estima que el huracán podría afectar a más de 1,

SAN LUIS 24

Clarín
La Nación El Mundo
Infobae
La Nación Sociedad
Noticias de Argentina
IMDb TV
Raw Story
FOX19 NOW
FOX19 NOW Sports