El planeta atraviesa una etapa de desequilibrio climático visible en los océanos . Las aguas del Atlántico alcanzan temperaturas que superan récords históricos y ese exceso de calor se traduce en huracanes cada vez más potentes, húmedos y destructivos, según precisa la ciencia.
Lo que antes parecía un evento excepcional se volvió una constante: las tormentas se fortalecen con una rapidez inédita y dejan menos margen de acción para proteger vidas e infraestructuras.
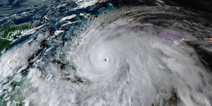
El huracán Melissa, que escaló de tormenta tropical a categoría 5 en menos de dos días, se convirtió en símbolo de esa nueva era de riesgos amplificados por el cambio climático.
El calentamiento del mar potencia los huracanes
Los científicos lo ven como una confirmación de lo que anticipaban desde hace déca

Infobae

La Nación Sociedad
Noticias de Argentina
The Daily Beast
Darkhorse Press
Raw Story
CBS News
The Hill