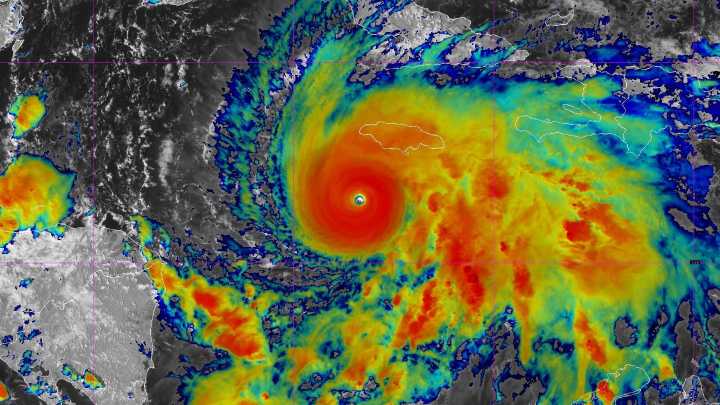
Catastrophic Hurricane Melissa made landfall along the southwestern coast of Jamaica on Tuesday with dangerous wind speeds of 185 mph and life-threatening storm surge, preparing to leave a wake of destruction across the island before focusing its ferocity on southeastern Cuba.
The Category 5 cyclone slammed into the coast near New Hope at about 1 p.m. ET Tuesday after churning slowly toward the island nation, killing at least seven in the Caribbean on its way. While the northern portion of the eyewall began moving ashore earlier on Tuesday morning, landfall signifies the moment when a hurricane's center crosses the shore onto land.
Hurricane Melissa's landfall is one of the most powerful in Atlantic Basin recorded history, the National Hurricane Center said.
Torrential downpours that c

Ocala Star-Banner

WCJB-TV20
10 Tampa Bay
11Alive
AP Breaking News
Associated Press Top News
NBC4 Washington
Associated Press US and World News Video
ScienceAlert en Español
Daily Voice
WITN-TV
FOX 61 Weather
Akron Beacon Journal Sports