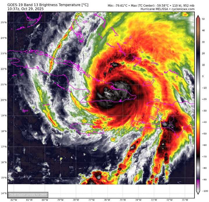
El poderoso huracán Huracán Melissa tocó tierra en la madrugada de este miércoles en los alrededores de la provincia de Santiago de Cuba, al sureste de la isla, con categoría 3 y vientos sostenidos de hasta 193 km/h, según informó el National Hurricane Center (NHC) de Estados Unidos.
La tormenta había atravesado previamente Jamaica el martes con categoría 5 y vientos que alcanzaron hasta 295 km/h, lo que la convirtió en la más intensa que haya afectado a la isla caribeña de 2,8 millones de habitantes, donde aún se evalúan los daños.
Aunque el fenómeno había perdido intensidad, el NHC advirtió que la situación seguía siendo “extremadamente peligrosa” y representaba “un riesgo para la vida” para las poblaciones de ambos países.
Las autoridades cubanas y jamaicanas han movilizado evacuacio

CV Noticias TV

Zonacero
FOX 5 Atlanta Crime
America News
Raw Story
The List
The Conversation
Gizmodo
The Babylon Bee
Nicki Swift
KCBD Sports