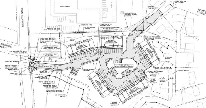
The Manchester Planning Board is scheduled to review a proposal this week for a 30-unit townhome development on four-plus acres of vacant land along Mammoth Road.
The development, dubbed Melrose Place at Hugh's Farm in paperwork filed with the city’s planning department, includes three six-unit buildings, one five-unit building and one seven-unit building, with 75 parking spaces including three required ADA parking spaces on a vacant 4.66-acre property off Mammoth Road, near Somerville Street and adjacent to Faith Baptist Church.
The plans, filed by the Fuss and O’Neill engineering firm on behalf of 39 Bremer Street LLC., appear on the agenda for Thursday's Planning Board meeting, slated to get underway at 6 p.m. at City Hall.
The development includes right-in and right-out driveway acc

New Hampshire Union Leader

The Des Moines Register
KALB-TV
Washingtonian
Law & Crime
New York Post
The List
TMZ Video
WYMT Sports