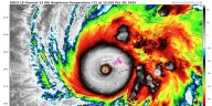
KINGSTON, Jamaica (AP) — Hurricane Melissa was set to pummel Jamaica on Tuesday as a catastrophic Category 5 storm, the strongest to lash the island since recordkeeping began 174 years ago.
The storm was expected to make landfall early Tuesday and slice diagonally across the island, entering near St. Elizabeth parish in the south and exiting around St. Ann parish in the north, forecasters said.
Hours before the storm, the government said it had done all it could to prepare as it warned of catastrophic damage.
“There is no infrastructure in the region that can withstand a Category 5,” Prime Minister Andrew Holness said. “The question now is the speed of recovery. That’s the challenge.”
Landslides, fallen trees and numerous power outages were reported ahead of the storm, with officials i

Cleveland 19 News
WDHN News
KDKA
WRAL News
5 On Your Side Crime
First Alert 4 Crime
St. Louis Public Radio
First Alert 4 News
Raw Story
FOX News Videos
AlterNet
The Babylon Bee