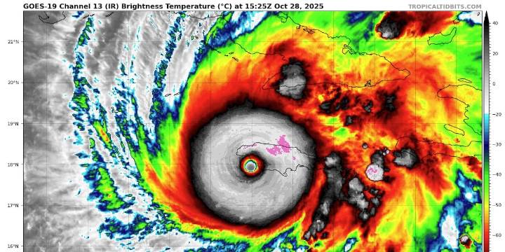
TOLEDO, Ohio (WTVG) - A Toledo woman vacationing in Jamaica says she’s stuck on the island as Hurricane Melissa makes landfall, leaving her plans to return home uncertain.
Toledoan Shannon Cousino is staying at a hotel in Montego Bay in the northwest part of Jamaica. She shared video from her hotel room showing spitting rain and palm trees being whipped around by strong winds with 13 Action News.
Hotel staff advised Cousino to put her mattress against the sliding door and ride out the storm in the bathroom if conditions worsen.
“I’ve never been in a situation like this, yeah I’m a little nervous and anxious. Really windy and gusty and rainy here. This is like our fourth time here, we come here all the time, yeah this is one of the bad experiences,” Cousino said.
Cousino’s original pl

Cleveland 19 News

Shore News Network
FOX19 NOW
WFMJ-TV
The Scioto Post
WKYC Cleveland
Page Six
The Daily Bonnet
@MSNBC Video