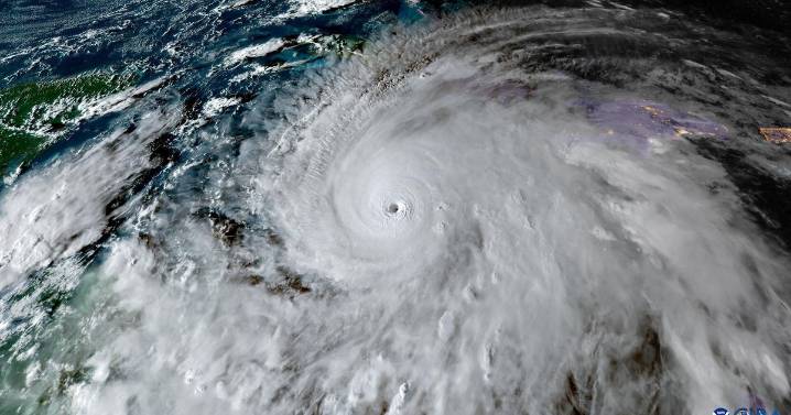
Hurricane Melissa is among the strongest hurricanes to have formed in the Atlantic Ocean since records have been kept, ranking as one of the most powerful storms in terms of both wind strength and pressure.
The storm , which formed last week, was an "extremely dangerous" Category 5 hurricane as it made landfall in Jamaica on Tuesday, according to the U.S. National Hurricane Center.
With maximum sustained winds of 185 mph, Melissa was tied with two other hurricanes for the strongest landfall on record in the Atlantic. Hurricane Dorian in 2019 and a 1935 storm known as the Labor Day hurricane, before storms were named the way they are now, both clocked winds of 185 mph when they made landfall.
A graphic shows the four strongest hurricanes to make landfall in the Atlantic based

CBS DFW

ABC News
NBC Chicago
FOX 10 Phoenix
AP Breaking News
Associated Press Top News
NBC4 Washington
ScienceAlert en Español
WITN-TV
Associated Press US and World News Video
Daily Voice
The Conversation
The Babylon Bee